För att du ska kunna åtgärda avtalslarm måste du ha behörighet till knappen med namnet "Åtgärda avtal" (se bilden nedan). Om du inte har behörighet till knappen med namnet "Åtgärda avtal" kan du inte åtgärda avtalslarm. Om du har behörighet till knappen med namnet "Åtgärda avtal" är knappen blå till färgen. Om du inte har behörighet till knappen med namnet "Åtgärda avtal" är knappen grå till färgen. Om du inte har behörighet till knappen med namnet "Åtgärda avtal" kan du hoppa över de avsnitt som handlar om hur du åtgärdar avtalslarm.
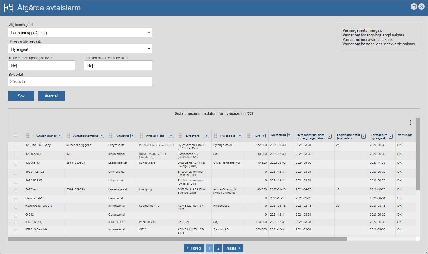
Om du klickar på knappen med namnet "Åtgärda avtal" får du tillgång till ett larmkort med namnet "Åtgärda avtalslarm" (se bilden nedan). Via larmkortet har du möjlighet att åtgärda avtalslarm och skapa dig en överblick över viktiga datum. I larmkortets övre vänstra hörn hittar du ett antal fält. Vilka fält du hittar i larmkortets övre vänstra hörn beror på vilken larmtyp du möts av när du öppnar larmkortet. Oavsett vilken larmtyp du möts av när du öppnar larmkotet kommer det översta fältet i larmkortets övre vänsta hörn alltid ha namnet "Välj larm/åtgärd". Via fältet med namnet "Välj larm/åtgärd" kan du välja vilken larmtyp du ska jobba med.
När du ska åtgärda avtalslarm har du tillgång till sju larmtyper. De larmtyper du har tillgång till heter "Räkna upp index", "Larm om uppsägning", "Sista uppsägningsdatum passerat", "Larm om förlängningsoption", "Larm för avtalsförändring", "Larm för avtalsförändringsoption" och "Skapa avtalsförändring".
Via larmkortet har du möjlighet att åtgärda larm som uppstått för att
du kan räkna upp index på ett eller fler avtal
hyresvärdens eller hyresgästens sista uppsägningsdatum har passerat.
Via larmkortet har du också möjliget att skapa dig en överblick över de avtal där hyresvärdens eller hyresgästens sista uppsägningsdatum närmar sig. Men det är inte allt. Via larmkortet har du också möjlighet att skapa dig en överblick över de avtal som innehåller
förlängningsoptioner vars sista nyttjandedatum närmar sig
avtalsförändringar vars start- eller slutdatum närmar sig
förändringsoptioner vars startdatum närmar sig.
Utöver detta kan du använda larmkortet till att skapa avtalsförändringar och sätta de avtalsförändringar du skapar på flera avtal samtidigt. Detta är smidigt om du vill skapa en avtalsförändring på flera avtal men inte vill skapa avtalsförändringen på varje enskilt avtal.
I larmkortet har du tillgång till en vy-funktion. Vy-funktionen ger dig möjlighet att lägga till, ta bort och flytta på kolumner i larmkortets avtalslista.
Om du är organisationsadministratör har du möjlighet att
ge användargrupper behörighet till knappen med namnet "Åtgärda avtal"
ta bort användargruppers behörighet till knappen med namnet "Åtgärda avtal".
För mer information om hur du åtgärdar larm som uppstått för att
du kan räkna upp index på ett eller fler avtal, se avsnitt 6.6.1.
hyresvärdens eller hyresgästens sista uppsägningsdatum passerat, se avsnitt 6.6.2.
För mer information om hur du skapar dig en överblick över de avtal där hyresvärdens eller hyresgästens sista uppsägningsdatum närmar sig, se avsnitt 6.6.3.
För mer information om hur du skapar dig en överblick över de avtal som innehåller
förlängningsoptioner vars sista nyttjandedatum närmar sig, se avsnitt 6.6.4.
avtalsförändringar vars start- eller slutdatum närmar sig, se avsnitt 6.6.5.
förändringsoptioner vars startdatum närmar sig, se avsnitt 6.6.6.
För mer information om hur du
skapar en avtalsförändring och sätter den på flera avtal på samtidigt, se avsnitt 6.6.7.
lägger till, tar bort och flyttar på kolumner i larmkortets avtalslista, se avsnitt 6.6.8.
För mer information om hur du som är organisationsadministratör
ger en anvädargrupp behörighet till knappen med namnet "Åtgärda avtal", se avsnitt 6.6.9.
tar bort en användargrupps behörighet till knappen med namnet "Åtgärda avtal", se avsnitt 6.6.10.